VERKAUFTE PFERDE

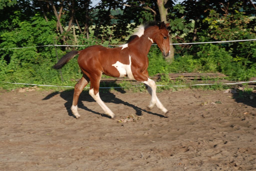
Caya C, eine bildschöne, bewegungsstarke 4-jährige Stute von Colanyc x Samico F in mittlerem Rahmen. Sie ist die letzte Tochter unserer Bundessiegerstute Shakira und seit dem 20.08.2024 im schönen Harz zuhause. Wir wünschen der neuen Besitzerin ganz viel Glück und Spaß mit unserem "Ca´chen".
"Caya C" (geb. 2020)
________________________________________________________

Celly C, eine großrahmige, doppelt veranlagte, vermögende 4-jährige Stute von Colanyc x Camaro/Trak., super cool und selbstbewußt. Sie ist seit dem 20.08.2024 im schönen Bayern zuhause. Der neuen Besitzerin wünschen wir ganz viel Glück und Erfolg mit dieser Nachwuchshoffnung.
"Celly C" (geb. 2020)
________________________________________________________

Cendryc C, ein super schicker, doppelt veranlagter Braunscheckwallach von Colanyc x Blickpunkt, Halbbruder unseres gekörten Rappscheckhengstes Classic Deluxe, 3 1/2 Jahre alt. Er ist in allerbeste Hände in Deutschland verkauft und wird künftig vielseitig gefördert. Wir wünschen den neuen Besitzerinnen alles erdenklich Gute mit diesem hoch veranlagten Jungpferd.
"Cendryc C" (geb. 2020)
________________________________________________________

Curtis C, ein bildschönes, doppelt veranlagtes, hoch bewertetes und prämiertes Hengstfohlen aus dem 1. Jahrgang unseres reinerbigen Hengstes Caleb (Colanyc x Ringo/Trak.) aus unserer Prämienstute Sissy C (Samenco K x Camaro/Trak.). Verkauft nach Österreich.
"Curtis C" (geb. 2023)
________________________________________________________

Cir Royal C, ein sehr bewegungsstarker, typvoller 3-jähriger Wallach von Colanyc (Cadeau Noir x Samenco K, Ilasso) aus unserer Prämienstute und Hengstmutter Briana C (Blickpunkt x Belissimo M). Er ist inzwischen zu seinem neuen Besitzer Carl Hedin nach Schweden umgezogen und wird dort sportlich gefördert. Mit Carl hat er den perfekten Ausbilder gefunden, ich wünsche den beiden ganz viel Spaß und Erfolg. Aktuelles gibt es regelmäßig auf Instagram. Cir Royal C - er ist etwas ganz Besonderes (Foto: Carl Hedin, dankeschön).
"Cir Royal C" (geb. 2018)
________________________________________________________

Cju C, ein sehr schickes, nervenstarkes, doppelt veranlagtes Hengstfohlen von Colanyc (Cadeau Noir x Samenco K, Ilasso) aus unserer Prämienstute Caribic C (Camaro x Ringo/Trak.). Er wurde als künftiges Familienpferd verkauft und soll künftig vielseitig gefördert werden. Ein ganz toller kleiner Kerl, der sicherlich viel Freude machen wird. Alles Gute der neuen Besitzerin.
"Cju C" (geb. 2021)
________________________________________________________

Cid C, ein sehr schicker, nervenstarker, doppelt veranlagter 2 1/2-jähriger Wallach von Colanyc (Cadeau Noir x Samenco K, Ilasso) aus unserer Prämienstute Caribic C (Camaro x Ringo/Trak.). Er wird nun Familienpferd, soll vielseitig gefördert werden. Und wer weiß, vielleicht bekommt er ja in 1-2 Jahren noch einen bunten Boxennachbarn von uns. Der neuen Besitzerin wünsche ich alles erdenklich Gute und ganz viel Spaß mit diesem wirklich gelungenen Colanyc-Sohn.
"Cid C" (geb. 2018)
________________________________________________________

Capri C, ein äußerst typvolles Stutfohlen mit der genialen Bewegungsmechanik ihres Vaters Classic Deluxe (Cadeau Noir x Blickpunkt) und dem Charme ihrer Mutter, der Prämienstute Sissy C (Samenco K x Camaro). Dieser bildschöne Prinzessin wird in Kürze zu dem ebenfalls bei uns geborenen Rappscheckwallach Vajum C in die Nähe von Köln ziehen und soll später mal eine sportliche und vielleicht auch züchterische Karriere antreten. Nun darf sie nach dem Absetzen aber erstmal ihre Aufzuchtzeit genießen. Der neuen Besitzerin wünsche ich alles erdenklich Gute mit dieser allerersten Tochter unseres bewegungsgenialen Rappscheckhengstes Classic Deluxe und bedanke mich sehr für das entgegengebrachte Vertrauen.
"Capri C" (geb. 2020)
________________________________________________________

Finn C, ein 2-jähriger Hengstanwärter mit oppulentem Bewegungsvermögen und top Charakter von Finest/Hann. (Fürstenball x Wie Weltmeyer/Prince Thatch xx) und unserer Prämienstute Shona C (Samaii/Old. x Camaro/Trak.). Dieser bildschöne Youngster ist nun Boxennachbar unserer Porzellanscheckstute Lara C ("Toni") in der Nähe von Neuss und soll im nächsten Jahr voraussichtlich zur Körung vorgestellt werden. Ich freue mich, daß er so ein tolles Zuhause bekommen hat und drücke der neuen Besitzerin ganz fest die Daumen. Gern werde ich mit Rat und Tat unterstützen. Auf die Karriere von Finny bin ich sehr gespannt. Jetzt darf er aber erstmal noch eine Weile seine Jugend genießen und lebt in einer Herde mit älteren Wallachen. Klasse.
"Finn C" (geb. 2018)
________________________________________________________

Carat C, ein bewegungsstarker, bildschöner 2 1/2-jähriger Wallach vom Elitehengst Camaro/Trak. und unserer Bundessiegerstute Shakira (v. Elitehengst Samico F x Falkland/Hann.). Er ist nun in der Nähe von Bremen zuhause. Ich wünsche den neuen Besitzern alles erdenklich Gute und viel Spaß mit diesem ungeschliffenen Diamanten, freue mich natürlich immer über Fotos, Videos und Rückmeldungen.
"Carat C" (geb. 2016)
________________________________________________________

Sceltic C, schöner kann man einen Schecken nicht malen. Ein 3-jähriger Sohn des Dressur-Vererbers Schwarzgold/Trak. aus unserer Prämienstute Shona C (Samaii/Old. x Camaro). Bewegung, super cooler Charakter, tolle Optik, Nerven wie Drahtseile, dazu noch super verschmust und Doppelveranlagung... ein ganz besonderes Pferd. Sceltic C ist nun an der Ostsee zuhause. Ich wünsche seiner neuen Besitzerin von Herzen ganz viel Glück und Spaß mit unserem lieben Jungen.
"Sceltic C" (geb. 2015)
________________________________________________________

Ceyla C, eine wunderschöne Rappscheckstute mit sehr liebevollem Charakter und genialer Doppelveranlagung von Colanyc x Camaro/Lehar/Ladykiller xx. Eine Buschprinzessin erster Güte. Sie wird künftig in der Nähe von Aachen beheimatet sein. Herzlichen Glückwunsch an Monika zu diesem wunderschönen Nachwuchs-Sportpferd.
"Ceyla C" (geb. 2018)
________________________________________________________

Cayenne C, ein prämiertes, doppelt veranlagtes Dunkelbraunscheckhengstfohlen aus dem 1. Jahrgang unseres Hengstes Colanyc (Mutter von Samenco K/Camaro). Wunderschön gezeichnet, wüchsig, sehr bewegungsstark und charakterlich ein Schatz. Er wird künftig in der Nähe von Kassel zuhause sein und dort weiter als Hengst aufgezogen. Herzlichen Glückwunsch an die neuen Besitzer.
"Cayenne C" (geb. 2018)
________________________________________________________

Cupido C, ein prämierter, doppelt veranlagter und charakterlich super cooler Rappscheckhengst in handlichem Format mit sehr viel Spaß am Sprung von Cadeau Noir/Hann. (Christ x De Niro/Calypso II) aus unserer typvollen Rappscheckstute What´s up (Camaro/Trak. x Lehar/Ladykiller xx/Der Löwe). Er wurde hier als Hengstanwärter aufgezogen, hat aber leider die erforderliche Mindestgröße nicht erreicht. Daher ist dieses schicke Nachwuchssportpferd nun in Süddeutschland beheimatet und in allerbesten Händen. Herzlichen Glückwunsch an Alexandra.
"Cupido C" (geb. 2014)
____________________________________________________________________

Vajum C, ein prämierter, doppelt veranlagter und super cooler Rappscheckhengst von Viscount/Hann. (Valentino/Now or Never x Acorado I) aus unserer typvollen Rappscheckstute What´s up (Camaro/Trak. x Lehar/Ladykiller xx/Der Löwe). Er wird auf Wunsch seiner neuen Besitzerin liebevoll bei uns als Hengstanwärter aufgezogen.
"Vajum C" (geb. 2016)
____________________________________________________________________

Siri C, eine doppelt veranlagte, charakterlich außergewöhnlich coole, prämierte Braunscheckstute mit hoher Springveranlagung vom bunten Stempelhengst Semper/Old. (Sandro/Sandro Song xx/Samber) aus unserer Prämienstute Caribic C (Camaro/Trak. x Ringo/Trak.). Eine sehr gelungene Anpaarung, die Stute wird künftig im Vielseitigkeitssport gefördert und ist in beste Hände verkauft.
"Siri C" (geb. 2016)
____________________________________________________________________

Venezia C, eine springtalentierte, bewegungsstarke, außergewöhnlich gezeichnete und mit einem genialen Interieur ausgestattete prämierte Tochter des sehr vermögenden Springhengstes Viva Vulkano (v. Vulkano FRH x Lordanos/Askari/Contender) aus unserer Soraya C (v. Samenco K/Samber x Iasso/Ico) - sie verbindet in einmaliger Weise die besten und erfolgreichsten bunten Hengstlinien mit den Heroen im internationalen Spitzen-Springsport
"Venezia C" (geb. 2016)
____________________________________________________________________

Shorty C, ein doppelt veranlagter Hengstjährling in unglaublich schöner goldbrauner Farbe und mit einem top Interieur von Samenco K/Samber/Sans Souci aus unserer Leitstute Mona Lisa
"Shorty C" (geb. 2015)
____________________________________________________________________
Landow C, ein bewegungsstarkes, hoch springveranlagtes und prämiertes Braunscheckhengstfohlen vom internat. S-Springhengst Ludwig´s As (Ludwig v. Bayern/Landor S x Accord II) aus unserer Prämienstute Sissy C (v. Samenco K/Samber x Camaro/Trak.)
(verkauft an Helene nach Belgien)
"Landow C" (geb. 2015)
________________________________________________________________________

Fleur C, eine sehr typvolle, ganggewaltige Braunscheckstute von Finest (Fürstenball x Wie Weltmeyer/Prince Thatch xx) aus unserer Prämienstute Silvana C (v. Samaii/Old. x Ringo/Trak.)
(verkauft an Sarah nach England)
"Fleur C" (geb. 2015)
________________________________________________________________________

dunkelbraune, sehr bewegungsstarke, typvolle und coole Stute von Cadeau Noir (Christ x De Niro/Calypso II) aus unserer nerven- und leistungsstarken Nike (Ringo/Trak. x Niferak/Feiertraum)
(verkauft an Claudia, diese Stute bleibt in Sachsen-Anhalt ganz in meiner Nähe)
"Candy C" (geb. 2015)
________________________________________________________________________

braune, doppelt veranlagte Prämienstute im schicken Trakehner-Typ von Camaro/Trak. aus unserer Verbandsprämienstute und Hengstmutter Iamira von Ico/Helianthus
(verkauft an Michaela an der Grenze zur Schweiz)
"Cassandra C" (geb. 2011)
==> Video Nr. 1: Cassandra C (1 Jahr alt)
==> Video Nr. 2: Cassandra C (2,5 Jahre alt)
________________________________________________________________________

Dunkelbraunscheckstute von Samenco K/Samber/Pericles xx/Sans Souci x Leitstute Mona Lisa
(verkauft an Larissa in die schöne Schweiz)
"Santa Fee C" (geb. 2012)
_______________________________________________________________________________________________________

Dunkelbraune Stute von Samaii/Sambertino/Brentano II x PrSt. Iamira v. Ico/Helianthus
"Sarah C" (geb. 2009)
_______________________________________________________________________________________________________

Rappscheckstute von Iron/Ilasso/Silbersee x Icona v. Icon/Ico
"It´s Apanatchy" (geb. 2000)
_______________________________________________________________________________________________________
Goldbraunscheckwallach von Samenco K/Samber x PrSt. Iamira v. Ico/Helianthus
"San Diego C" (geb. 2006)
_______________________________________________________________________________________________________
Prämierte Porzellanscheckstute von Levkoi/Levisto Z x PrSt. It´s Nanook v. Ilasso/Ico
"Lara C" (geb. 2010)
_______________________________________________________________________________________________________

Prämierte Dunkelbraunscheckstute von Samenco K/Samber/Sans Souci x Camaro/Le Duc/Lehar/Ladykiller xx
"Skyline C" (geb. 2006)
Aktuelle Fotos von Skyline C bei ihrer neuen Besitzerin (mit deren freundl. Genehmigung):
Skyline C im Mai 2010 (knapp 4-jährig)

Skyline C im Mai 2010 (1. Dressurpferdeprüfung)

Skyline C in Springprüfung A** 07/2010, erste Platzierung gegen top Holsteiner!
________________________________________________________________________________________________________________________

Prämierte Rappscheckstute von Samenco K/Samber/Sans Souci x Elkadi
"Santana C" (geb. 2005)
________________________________________________________________________________________________
Sisco C, geb. 2003, Dunkelfuchswallach von Samenco K (Foto mit freundl. Genehmigung der Besitzerin)

Dunkelfuchswallach von Samenco K/Samber/Sans Souci x Elkadi
"Sisco C" (geb. 2003)
_________________________________________________________________________________________________

Braunscheckhengst von Samenco K/Samber/Sans Souci x Elkadi
"Sandro C" (geb. 2007)
______________________________________________________________________________________
Wir wünschen den neuen Besitzern dieser hoch veranlagten Pferde alles erdenklich Gute, viel Spaß und Erfolg! Auch nach dem Verkauf steht Ihnen Yvonne Cybulla jederzeit gern mit Rat und Tat zur Seite.
________________________________________________________________________________________________